Działki budowlane 6 km od Młynarzy
Załęże-Ponikiewka gm. Młynarze Pokaż na mapie ›
Odświeżone: Środa, 24 Grudzień, 2025 13:41
Zapytaj o cenę
Szczegóły ogłoszenia
- Kategoria: Działki i grunty / Sprzedaż
- Pow. działki:100 m2
- Rodzaj działki:Budowlana
- Sprzedaż:Bez pośredników
Opis oferty
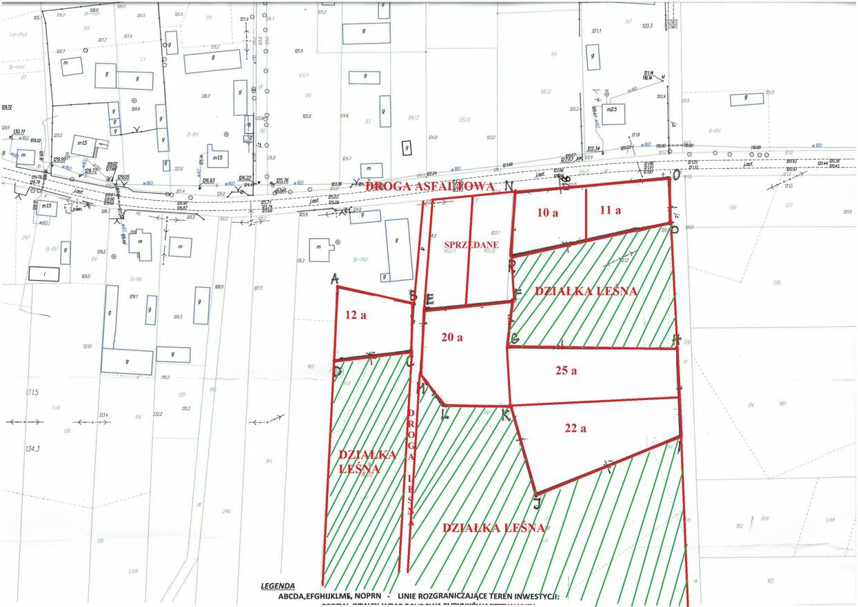
Szukasz miejsca pełnego spokoju i natury? Mam na sprzedaż piękne działki budowlane (WZ) w otoczeniu lasów, z dostępem do mediów na granicy działki (woda, prąd, światłowód).Dlaczego warto?
cicha, malownicza okolica
bezpośredni dojazd z drogi
media tuż obok
brak uciążliwej działalności rolniczej
Dodatkowy atut:
Tylko przy zakupie działki budowlanej — możliwość dokupienia działki leśnej w wyjątkowej cenie 2 000 zł/ar!
Cena działki budowlanej: 4 800 zł/ar do negocjacji.......
Idealne miejsce pod wymarzony dom lub inwestycję!
Sprawdź zainteresowanie tym ogłoszeniem
Wyświetlenia
Data dodania
Ostatnio widziany
Obserwujących
Wysłane zapytania
Odsłony telefonu
GGG
Konto prywatne
Na Lento.pl od 12 wrz 2016
Odpowiada szybko
Strona użytkownika
- Wypromuj ogłoszenie
- Zgłoś naruszenie
- Drukuj ulotkę
- Edytuj/usuń ogłoszenie
- Udostępnij ogłoszenie
- Dodaj na Facebook



